?

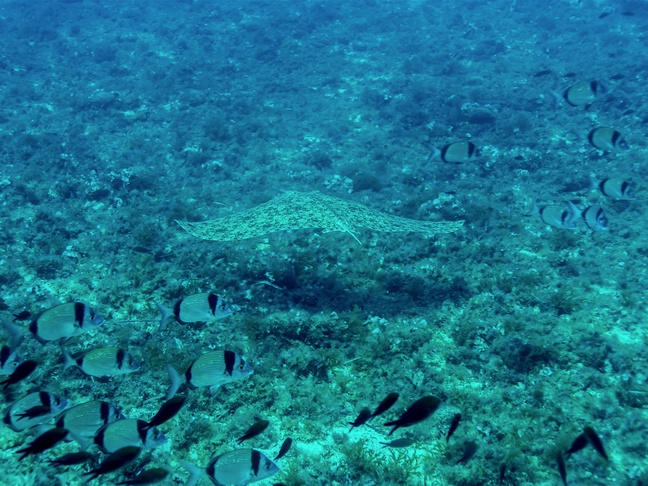
Spiny butterfly ray

Gymnura altavela

Add to own gallery
Photo by Pdrac (C) All rights reserved
Wrong picture ID? ... let us know!

Spiny butterfly ray

Gymnura altavela

Link to description on WikipediA